Побитый "Мерседес" премьера пытаются "повесить" на стоматолога?
В пятницу "Украинская правда" писала о странном ДТП, в которое попал кортеж премьера Юлии Тимошенко. Столкновение произошло между основной машиной, в которой обычно ездит премьер, и автомобилем сопровождения.
Самой Тимошенко в машине не было. Тем не менее, ее кортеж в тот день возвращался из аэропорта на недопустимой законом высокой скорости и с мигалками.
Вскоре после первой публикации нам стали известны новые подробности события. С редакцией связался водитель BMW, который, по официальной версии ГАИ, и спровоцировал ДТП, нарушив правила дорожного движения.
Стоматолог Евгений изложил "Украинской правде" свою версию произошедшего, в которой утверждает, что правил не нарушал и не мог спровоцировать аварию. Водитель также рассказал, что у него отобрали права и теперь пытаются сделать виновным в резонансном ДТП.
Для подтверждения своих слов водитель BMW предоставил редакции копии документов – протокол ДТП, составленный милицией, и показания свидетелей аварии.
"Все, чего я хочу от этой ситуации – это чтобы меня не делали виновным. Потому что когда я рисую схемы ДТП своим знакомым, в том числе и сотрудникам ГАИ, они меня спрашивают: "Какое отношение ты имеешь к этому ДТП?", - говорит Евгений.
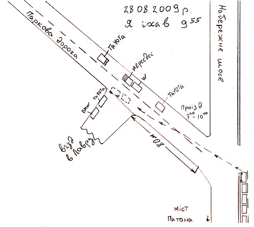
Согласно его версии, в пятницу 28 августа, около 9:55 утра он ехал на службу в Лавру. Находясь на Набережном шоссе в левом ряду, он повернул налево на Парковую дорогу с включенным поворотом.
Следует отметить, что с 7 до 10:00 утра по Парковой дороге проезд разрешен только вверх. Соответственно, Евгений сначала двигался по правой стороне вверх по движению, а затем стал перестраиваться.
"Выехав на Парковую дорогу, я начал смещаться в левый ряд. Подъехав к въезду в Лавру, я начал выполнять маневр налево с включенным левым поворотом. В это время, когда часть моего автомобиля находилась уже в дорожном кармане, в зеркало заднего вида я увидел летящую Toyota Camry. Для освобождения движения я быстро ушел с проезжей части", - рассказал Евгений.
"Я не могу сказать, что они ехали – они летели! Скорость была более 100 км/ч", - утверждает он.
По его словам, та же Toyota заехала за ним в дорожный карман.
"Я резко въехал в этот карман и остановился. Toyota Camry заехала за мной и тоже остановилась. Всех остальных машин кортежа я не видел. При этом, когда я сворачивал в Лавру, я услышал стук", - говорит Евгений.
![]() |
После такого "знакомства" с сотрудником милиции Евгений понял, что произошло. На Парковой дороге в правом ряду по ходу вверх он увидел премьерский кортеж.
"Выйдя из автомобиля, я увидел "Мерседес" черного цвета сзади со шторками. У него были повреждены капот и бампер. Впереди от него в 15 метрах стояла милицейская Toyota Camry, у которой был поврежден задний бампер", - сказал он.
По его словам, машины кортежа находились "ни посередине дороги, ни в левом ряду – они стояли так, как ехали, - в правом ряду".
"Я подошел, спросил, что случилось. В мой адрес понесся соответствующий лексикон: "Купи себе правила дорожного движения" и так далее. Угрожали 2 годами лишения свободы и чуть ли не потерей личного имущества", - рассказывает Евгений.
Далее, по его словам, события начали развиваться стремительно – на место аварии подъехали представители "всевозможных служб".
"Это все произошло в 9:55. Мы стояли до 13:00. Столько людей было!" - говорит водитель BMW.
![]() |
| Так ездит кортеж премьер-министра. Фото УП |
Когда приехали офицеры более высокого ранга, интонация разговора немного изменилась. По словам Евгения, с ним общался майор милиции, который вежливо попросил написать объяснительный протокол.
Однако далее к нему подошел сержант милиции и показал готовый протокол про административное правонарушение, в котором утверждалось, что именно Евгений стал причиной ДТП.
В этом документе, который водитель BMW предоставил "Украинской правде", утверждается, что он не пропустил кортеж Тимошенко, который двигался в попутном направлении с включенными "проблесковыми маячками".
Тем самым, говорится в протоколе, водитель BMW "вынудил водителя автомобиля Тойота Кэмри начал резко тормозить и останавливаться, чтобы избежать столкновения, чем и создал аварийную ситуацию".
"По версии протокола, я выполнял маневр из правого ряда. Но если бы я это сделал, меня бы просто убили!", - отрицает свою вину Евгений.
![]() |
![]() |
| Протокол, составленный на месте аварии сотрудниками ГАИ |
"Я написал, что я не согласен с сутью нарушения. Объяснительный протокол, в котором я изложил свою версию, у меня забрали. План-схема ДТП мне тоже не показывалась, на руки не давалась", - добавил он.
Около 13:00 все участники события разъехались. "Мерседес" погрузили на эвакуатор, а за его водителем приехала машина из Кабмина.
Перед тем Евгений и его брат успели сфотографировать место происшествия, однако их заставили удалить снимки.
"Мы с братом сделали 5 фотографий, после чего подбежали люди с охраной, все в гражданских костюмах, и попросили стереть фотографии. Они там своими документами бросались и сказали: "Либо вытирай фотографии, либо мы заберем фотоаппарат". У меня брат – инвалид второй группы с детства. Ну что нам, драться с ними? Мы стерли фотографии", - рассказал он.
Водитель BMW также не может вспомнить, чтобы в результате аварии кто-либо пострадал.
"Я сам доктор и могу сказать, что ни у кого никаких повреждений не видел. "Скорая помощь" никому не вызывалась, первая помощь тоже не оказывалась. Я подошел к водителю "Мерседеса" – на нем не было лица. Он просто клипал глазами. Я задал вопрос: "Вы с какой скоростью двигались?" Он ничего мне не сказал. Но чтоб ему было плохо или он терял сознание – такого не было", - рассказал он.
Как ранее писала "Украинская правда", пострадавшим оказался сотрудник ДПС из милицейской машины, в которую врезался премьерский "Мерседес". По информации источников, Юлия Тимошенко отправила водителю, который находится в больнице, букет цветов.
"Я в тот же день написал жалобу в департамент ГАИ, где потребовал, чтоб мне дали план-схему ДТП. Меня также не ознакомили с описанием повреждений", - говорит Евгений.
![]() |
| Жалоба водителя БМВ в МВД |
Кроме того, водитель BMW "вооружился" показаниями свидетелей, которые подтвердили его версию происшедшего.
В то же время в ГАИ продолжают настаивать на своей версии ДТП. Кроме нарушений, изложенных в протоколе, Евгения обвиняют в том, что он ехал навстречу (!) кортежу.
В частности, начальник ГАИ МВД генерал Сергей Коломиец, заявил газете "Сегодня", что BMW спускался сверху, а не ехал по пути следования кортежа, как написано в протоколе.
По его словам, водитель не остановился и создал аварийную ситуацию. Чтобы избежать столкновения, сотрудник ГАИ в первой машине сопровождения якобы и стал тормозить, после чего ее ударил "Мерседес" премьера.
"Украинской правде" Коломиец отказался комментировать ситуацию.
"Я не вникал в эту ситуацию и никаких подробностей не знаю. Я не вижу в этой ситуации такого резонанса, чтоб выставлять ее на первую полосу и писать о ней 25 раз", - резко ответил он и бросил трубку.
Означает ли это, что перед тем, как давать комментарий газете "Сегодня", Коломиец не ознакомился с протоколом ДТП, в котором написано, что водитель BMW двигался не навстречу кортежу, а по пути его следования?
"По версии ГАИ я спускался сверху. Но я не мог спускаться сверху хотя бы потому, что проезд был закрыт. До 10:00 можно ехать по Парковой дороге только в одном направлении – снизу вверх. И в протоколе указано время ДТП – 9:50", - возмущается словами Коломийца Евгений.
Водителю BMW до сих пор не отдали права, выдав только талон на временное управление автомобилем. На 28 сентября его уже вызвали в суд, и он всерьез опасается, что его сделают виновным в резонансном ДТП.
Если события будут развиваться именно таким образом, то Евгению придется возмещать убытки за побитый премьерский бронированный "Мерседес", стоимостью около полмиллиона долларов.




